海老名市本郷 新築戸建て 全5棟【仲介手数料無料】
【仲介手数料無料でご紹介可能です】
□■海老名市を中心に地域密着で営業している不動産会社です■□「海老名市本郷 新築戸建て 全5棟【仲介手数料無料】」の物件情報をお探しならお気軽にお問い合わせ下さい。こちらの物件は海老名市立有馬小学校が1269m以内にあります。駅から徒歩12分の物件です。夢のマイホームは思い切って新築の戸建てはいかがでしょうか。海老名市の不動産をお探しの方は、当社スタッフまでお声かけください。お客様の希望する条件に沿った物件を探して、ご紹介いたします。
物件情報
周辺施設
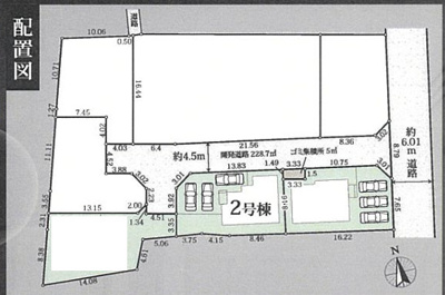
コメント【外観パース】海老名市を中心に地域密着で営業♪不動産のことなら「大樹不動産」へ
戸沢橋スポーツ広場
約2417m/31分
フードワン 海老名店
約654m/9分
ユーコープ 門沢橋店
約1380m/18分
SUPER MARKET FUJI(スーパーマーケットフジ) 倉見店
約2155m/27分
海老名市本郷 新築戸建て 全5棟【仲介手数料無料】 の物件概要
【新築一戸建】| 所在地 | 神奈川県海老名市本郷5344-1 | ||
|---|---|---|---|
| 交通 | |||
| 価格 | 4,180万円~4,280万円 | 築年月(築年数) | 2026年 1月 ( 予定 ) |
| 建物面積/坪数 | 98.12㎡~99.99㎡/29.68坪~30.24坪 | 土地面積/坪数 | 150.49㎡~150.61㎡/45.52坪~45.55坪 |
| 種別/構造 | 新築一戸建 / 木造 | 地目 | 宅地 |
| 備考 | 当社イチオシの物件の「海老名市本郷 新築戸建て 全5棟【仲介手数料無料】」。ぜひ一度ご覧ください。ローソン 海老名本郷店が423mにある物件です。こだわりのある方も多い、新築の戸建て物件となっております。駅徒歩12分の場所にある物件です。相模線門沢橋近くの一戸建てをお探しならお任せください。こちらの物件はもちろん、当社ではほかにも様々な不動産情報をご用意しておりますので、きっと素敵な一戸建てに出会えます。 | ||
| 取扱会社 |
|
||
※地図上に表示される物件の位置は付近住所に所在することを表すものであり、実際の物件所在地とは異なる場合がございます。
海老名市本郷 新築戸建て 全5棟【仲介手数料無料】の販売物件情報






